Top Banner
Home NavigationAbout Us NavigationProject NavigationServices NavigationContact NavigationImportant Links

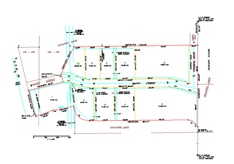
Eagle Business Park

<< Return to Projects

Eagle Business Park layout

Description:

Eagle Business Park is a commercial development in the City of Onalaska consisting of 10 lots.

 

 

     
 
 

Home | About Us | Projects | Services | Contact | Links

   
© 2005 La Crosse Engineering & Surveying Co., Inc.
Last Updated: 4/19/05